조황관리HOME / 조황관리 / 상세정보

제목 : 1ㅣ/28 우럭낚시 내만권 풍성한 조황입니다.
등록일 : 2025-11-29




◇ 장고항 선상낚시 배낚시 바다낚시 낚시배 
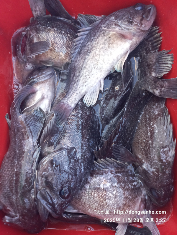
     서해 "동산호" 우럭낚시 조황

날짜 : 11월28일 (금요일)
날씨 : 오전 (바람) 오후 (장판)
물때 : 무쉬
성적 : 우럭 볼락 

 기상악화로 하루 푹~쉬고 우럭낚시 다녀왔습니다.

9시까지 바람이 조금 있었지만 우럭 꾸준히 나와주었네요.
오늘도 오전에 만쿨하신분 오후에 만쿨한신분 개인별로
조황차이는 있었지만 모든분들 만족스러운 조황입니다.

오늘 하루도 수고들하셨습니다.

☆출조문자 확인후 궁금한 사항이 있으시면 꼭 문의주세요.
※예약문의 : 010-8771-5168

20251128_115604.jpg


20251128_115814.jpg


20251128_142619.jpg


20251128_142709.jpg


20251128_142759.jpg


20251128_142854.jpg


20251128_143043.jpg


20251128_143154.jpg


20251128_143407.jpg


20251128_143447.jpg


20251128_145142.jpg


20251128_145118.jpg


20251128_145326.jpg


20251128_145423.jpg


20251128_145708.jpg

 


20210423_232803.jpg

☆☆☆☆☆☆☆ 장고항 "동산호" ​☆☆☆☆☆☆☆

​동산호선장 : ​010-8771-5168
​홈페이지 : http://dongsan.sunsang24.com 
주소 : ​충남 당진시 석문면 장고항로318

Top