조황관리HOME / 조황관리 / 상세정보

제목 : 11/30 우럭낚시 4짜부터 씨알도 마리수도 만만쿨~ 조황입니다.
등록일 : 2025-12-01

◇ 장고항 선상낚시 배낚시 바다낚시 낚시배 
     서해 동산피싱 "동산호" 우럭낚시 조황

날짜 : 11월30일 (일요일)
날씨 : 맑음
물때 : 2물
성적 : 우럭 볼락 

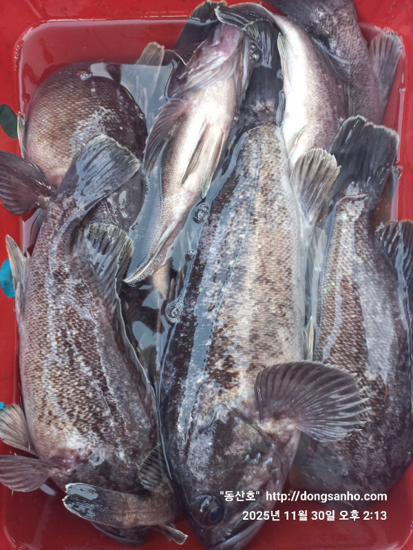
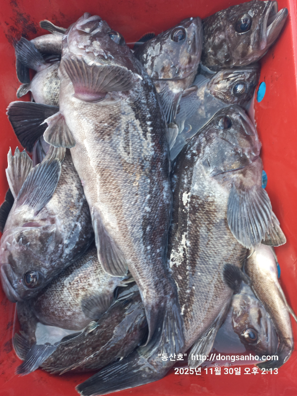
 오늘도우럭낚시 다녀왔읍니다.

우럭 4짜부터 씨알도 마리수도 굿~
오전에 미리 만쿨하신분들은 만만쿨로 가쳐온 쿨러가 꽉~
아쉽게도 오늘 한분만 만쿨 미달이네요.

오늘 하루도 수고들하셨습니다.

☆출조문자 확인후 궁금한 사항이 있으시면 꼭 문의주세요.

※12월 1월 2월 쭈욱~ 우럭낚시 예약진행중입니다.
※예약문의 : 010-8771-5168

20251130_074430.jpg


20251130_085519.jpg


20251130_085646.jpg


20251130_090732.jpg


20251130_102130.jpg


20251130_102217.jpg


20251130_102321.jpg


20251130_120345.jpg


20251130_130637.jpg


20251130_132358.jpg


20251130_132705.jpg


20251130_140424.jpg


20251130_141316.jpg


20251130_141334.jpg


20251130_141417.jpg


20251130_141548.jpg


20251130_141720.jpg


20251130_143314.jpg


20251130_143403.jpg


20251130_143504(0).jpg

 


20210423_232803.jpg

☆☆☆☆☆☆☆ 장고항 "동산호" ​☆☆☆☆☆☆☆

​동산호선장 : ​010-8771-5168
​홈페이지 : http://dongsan.sunsang24.com 
주소 : ​충남 당진시 석문면 장고항로318

Top