조황관리HOME / 조황관리 / 상세정보

제목 : 12/6 우럭낚시 똥바람 8물 사릿물 첫째날 조황입니다.
등록일 : 2025-12-07




◇ 장고항 선상낚시 배낚시 바다낚시 낚시배 
     서해 "동산호" 우럭낚시 조황

날짜 : 12월6일 (토요일)
날씨 : 오전/바람  오후/똥바람
물때 : 8물 (사릿물)
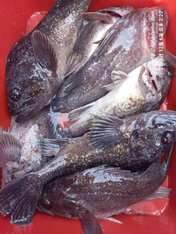
성적 : 광어 우럭 볼락 아나고

 12월 첫출조를 사릿물에 우럭낚시 다녀왔읍니다.

물때 좋은날은 기상악화 취소 일주일만에 사릿물에 출조
수온은 아직까지는 우럭낚시하기에는 적당한데 오늘은 
물이 너무 쎄다보니 정조시간 이외에는 딱히 갈곳이없네요.
똥바람속에서 그냥 드실만큼씩만 잡고 퇴근

다음달 1월부터는 사릿물에는 출조 패스~ 
물때 13물~4물까지만 우럭낚시 진행합니다.

오늘 하루도 수고들하셨습니다.

☆출조문자 확인후 궁금한 사항이 있으시면 꼭 문의주세요.

※12월 1월 2월 쭈욱~ 우럭낚시 예약진행중입니다.
※예약문의 : 010-8771-5168


20251206_083103.jpg





20251206_142751.jpg

20251206_142201.jpg


20251206_142419.jpg


20251206_142255.jpg


20251206_143039.jpg


20251206_142238.jpg


20251206_142540.jpg


20251206_144047.jpg


20251206_144211.jpg

 


20210423_232803.jpg

☆☆☆☆☆☆☆ 장고항 "동산호" ​☆☆☆☆☆☆☆

​동산호선장 : ​010-8771-5168
​홈페이지 : http://dongsan.sunsang24.com 
주소 : ​충남 당진시 석문면 장고항로318

Top