조황관리HOME / 조황관리 / 상세정보

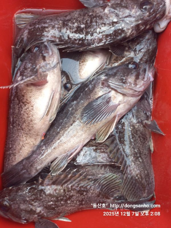
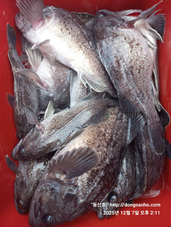
제목 : 12/7 우럭낚시 9물 사릿물 둘째날 조황입니다.
등록일 : 2025-12-08


◇ 장고항 선상낚시 배낚시 바다낚시 낚시배 
     서해 우럭낚시 조황

날짜 : 12월7일 (일요일)
날씨 : 오전/장판  오후/똥바람
물때 : 9물 (사릿물)
성적 : 광어 우럭 볼락 

 오늘도 사릿물에 우럭낚시 다녀왔읍니다.

이번 물때에서 오늘이 물이 가장 쎈날
다행히도 오전에 날씨가 많이 도와주어서 어제보다는 
오늘이 전체 조황이 더 좋네요.
모든분들이 드실만큼씩 충분히 들고가셨네요.


오늘 하루도 수고들하셨습니다.

☆출조문자 확인후 궁금한 사항이 있으시면 꼭 문의주세요.

※12월 1월 2월 쭈욱~ 우럭낚시 예약진행중입니다.
※예약문의 : 010-8771-5168

20251207_103410.jpg


20251207_140332.jpg


20251207_140843.jpg


20251207_141133.jpg


20251207_141316.jpg


20251207_141416.jpg


20251207_141530.jpg


20251207_141610.jpg


20251207_141726.jpg


20251207_141832.jpg


20251207_142942.jpg

 


20210423_232803.jpg

☆☆☆☆☆☆☆ 장고항 "동산호" ​☆☆☆☆☆☆☆

​동산호선장 : ​010-8771-5168
​홈페이지 : http://dongsan.sunsang24.com 
주소 : ​충남 당진시 석문면 장고항로318

Top