조황관리HOME / 조황관리 / 상세정보

제목 : 12/12 겨울 우럭낚시 조황입니다.
등록일 : 2025-12-13
◇ 장고항 선상낚시 배낚시 바다낚시 낚시배 
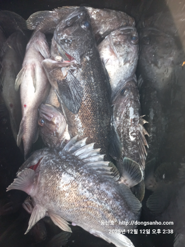
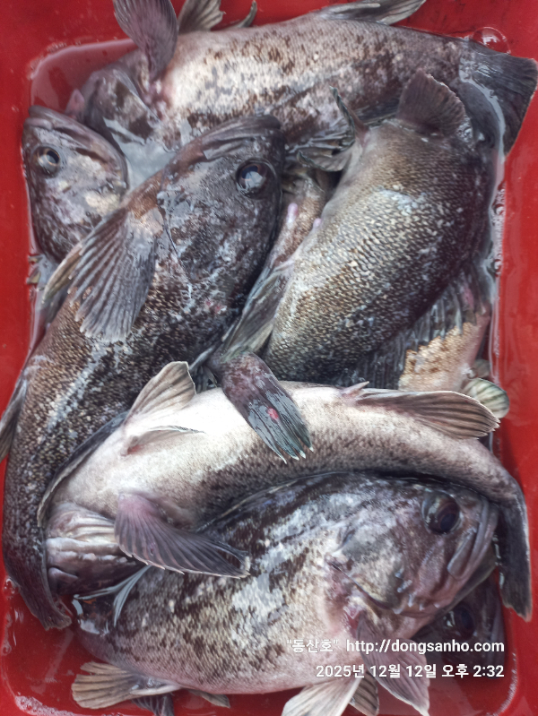
     서해 "동산호" 우럭낚시 조황

날짜 : 12월12일 (금요일)
날씨 : 맑음
물때 : 조금
성적 : 광어 우럭 볼락 

겨울 날씨로 이제는 띠엄띠엄 출조하네요.

기온도 떨어지고 수온이 떨어지고는 있지만은 아직까지는 
물때 날씨만 도와주면 전체 조황은 좋네요.

오늘 하루도 수고들하셨습니다.

※12월 1월 2월 쭈욱~ 우럭낚시 예약진행중입니다.
※예약문의 : 010-8771-5168


20251212_143156.jpg


20251212_143253.jpg


20251212_143356.jpg


20251212_143504.jpg


20251212_143701.jpg


20251212_143753.jpg


20251212_143844.jpg


20251212_144320.jpg

 


20210423_232803.jpg

☆☆☆☆☆☆☆ 장고항 "동산호" ​☆☆☆☆☆☆☆

​동산호선장 : ​010-8771-5168
​홈페이지 : http://dongsan.sunsang24.com 
주소 : ​충남 당진시 석문면 장고항로318

Top